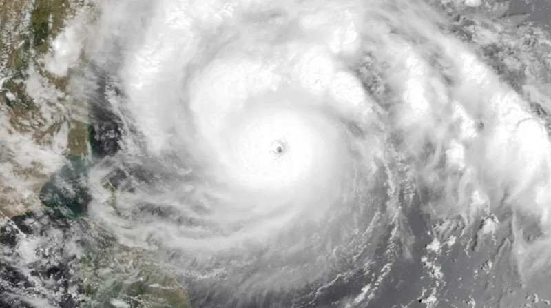
ঘূর্ণিঝড় মোখা ঘণ্টায় সর্বোচ্চ ২০৪ কিলোমিটার বেগে অতিক্রম করতে পারে। আমেরিকার নৌবাহিনী পরিচালিত জয়েন্ট টাইফুন ওয়ার্নিং সেন্টার এ পূর্বাভাস দিয়েছে।
শুক্রবার (১২ মে) সকালে কানাডার সাসকাচুয়ান বিশ্ববিদ্যালয়ের আবহাওয়া ও জলবায়ু গবেষক মোস্তফা কামাল পলাশ ফেসবুক পোস্টে এ তথ্য জানিয়েছেন।
আরেক পোস্টে তিনি বলেছেন, মোখার কারণে বাংলাদেশের সব উপকূলীয় এলাকা ১০ থেকে ২০ ফুট উচ্চতার জলোচ্ছ্বাসের হুমকির সম্মুখীন।
ঘূর্ণিঝড় মোখা কক্সবাজার ও মিয়ানমারের রাখাইন রাজ্যের ওপর দিয়ে আঘাত করলেও পুরো বাংলাদেশের সব উপকূলীয় জেলা ব্যাপক জলোচ্ছ্বাসের সম্মুখীন হবে। ঘূর্ণিঝড়টির যাত্রাপথ ও বাংলাদেশের উপকূলীয় এলাকার ভৌগোলিক অবস্থান ও আকৃতির কারণে এ জলোচ্ছ্বাস হবে বলে তিনি জানিয়েছেন।
তিনি আরও জানান, মোখা যখন সেন্টমার্টিন দ্বীপ অতিক্রম করবে তখন দ্বীপের প্রতি ইঞ্চি মাটি সমুদ্রের পানির নিচে থাকার আশঙ্কা ৯০ শতাংশেরও বেশি।











